
주차는 이곳에 무료로 하면 됩니다.
이곳 난간에서 해변에 있는 거북이를 볼수도 있습니다.


화병석



거북이

해변 가까이에 거북이가 보입니다.

화병석
화병석 구글지도
좌측 상단에 큰 지도 보기 클릭해서 새창에서 크게 볼수 있습니다.

스노클링을 마치고 화병석 앞으로 걸어서 해변으로 나왔습니다.

해변에서 바라본 화병석 좌측 방향

해변에서 바라본 화병석 우측 방향




계단에서 바라본 화병석 방향





거북이를 보기 위해 상가 우측으로 진입 합니다.

위와 같이 계단을 내려가면 됩니다.


이곳에서 입수해서 화병석 방향으로 셀프 스노클링을 시작 합니다.

우측은 소류구 페리터미널 방향

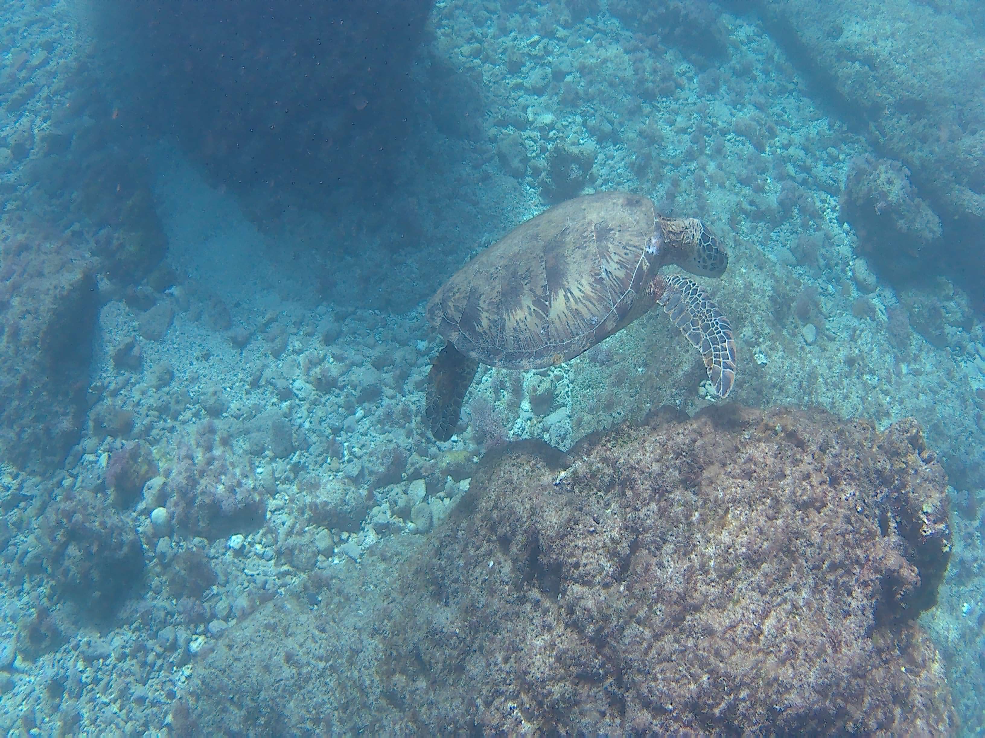
바다거북이 사진

무료로 스노클링 해서 거북이 원 없이 보았습니다.
필리핀이나 다른 바다와 달리 해변인근 가까이에서 볼수 있고 사람이 옆에 있어도 도망가지 않고 동영상 촬영하기 좋았고 큰개체의 거북이도 많이 보였습니다.

















먹이 활동 중인 바다거북이


'2026년 1월 대만일주(15일) 스쿠터 여행' 카테고리의 다른 글
| 소류구 블루씨 파빌리온,썬셋 파빌리온 일몰 (0) | 2026.02.10 |
|---|---|
| Xiaoshan Kanhai 화장실(무료샤워실) (0) | 2026.02.10 |
| 흑귀동굴(Black Devil Cave) (1) | 2026.02.10 |
| 멧돼지 골짜기(Wild Boar Trench) (0) | 2026.02.10 |
| 소류구 미인동 2 (0) | 2026.02.10 |